أفضل الطرق الطبيعية والفعالة للتخلص من الذباب في المنزل والحفاظ على بيئة نظيفة وصحية لعائلتك
طرق للتخلص من الذباب فى المنزل بوسائل آمنة دون عناء

مع ارتفاع درجات الحرارة وانتشار الروائح خلال فصل الصيف، يزداد تكاثر الذباب داخل المنازل بشكل يسبب إزعاجًا كبيرًا، حيث يتحول إلى عدو خفي يتكاثر في الزوايا المظلمة ويهاجم دون توقف في وضح النهار والسيطرة على هذه الحشرة الطائرة الصغيرة ليست سهلة، خاصة إذا لم تُتبع خطوات منظمة ومدروسة.
لذلك، يبحث الكثيرون عن حلول سريعة وفعالة للتخلص من الذباب في المنزل، مع ضمان سلامة جميع أفراد الأسرة. هذا المقال يُعد دليلًا شاملًا لتحديد أسباب وجود الذباب بكثرة داخل البيت، والتعرف على أنواع الذباب الشائع الذي يغزو المنازل، وكشف الأماكن الخفية التي يتكاثر فيها الذباب داخل البيت، بالإضافة إلى تقديم أكثر من طريقة للتخلص من الذباب فى المنزل بشكل نهائي وطبيعي دون اللجوء للمبيدات السامة.
وفرنا لكم مصيدة حشرات ممتازة وبسعر 12 ريال للتخلص من الذباب والبعوض نهائياً .
أسباب وجود الذباب بكثرة داخل البيت
- قبل التفكير في أي طرق للتخلص من الذباب فى المنزل، من الضروري تحديد الأسباب الجذرية التي تجعله يتوافد بكثافة. الذباب لا يأتي من فراغ، بل يبحث عن بيئة مناسبة للتكاثر والتغذية ومن أبرز هذه الأسباب:
- تراكم القمامة أو تأخر إخراجها بشكل يومي.
- وجود بقايا الطعام المكشوفة في المطبخ أو غرف المعيشة.
- تسرب الروائح القوية والرطوبة من البالوعات أو فتحات التهوية.
- تواجد حيوانات أليفة في المنزل دون تنظيف محيطها جيدًا.
- إهمال تنظيف سلات القمامة التي تتحول إلى بؤر جذب للذباب.
- ترك الأطباق المتسخة لفترة طويلة في الحوض.
- وجود نباتات داخلية ذابلة أو متعفنة.
- تهوية سيئة تؤدي إلى ركود الهواء وتراكم الروائح.
- تراكم فضلات الحيوانات أو الحشرات النافقة في الزوايا المهملة.
- دخول الذباب من النوافذ والأبواب المفتوحة دون وجود حواجز.
تحديد هذه الأسباب بدقة يساعد في اختيار طرق للتخلص من الذباب فى المنزل تكون موجهة للسبب الأساسي وليس للأعراض فقط.
أقرأ أيضاً : مكافحة العثة المنزلية .
أنواع الذباب الشائع الذي يغزو المنازل

تتنوع أنواع الذباب التي تجد طريقها إلى المنازل، ولكل نوع سلوكيات مختلفة تجعل مهمة التخلص منه تتطلب استراتيجيات محددة. معرفة النوع يساعد في اختيار طرق للتخلص من الذباب فى المنزل مناسبة له. إليك أكثر الأنواع شيوعًا:
الذباب المنزلي الشائع: يتجمع عادةً قرب الطعام والنفايات داخل المنزل.
الذباب الأسود الصغير: يزدهر في التربة الرطبة، خصوصًا في أوعية النباتات.
الذباب الأزرق اللامع: يتواجد حول الجثث والمواد العضوية المتحللة.
الذباب الأخضر اللامع: يجذبته الروائح الكريهة وبقايا اللحوم.
ذباب الفاكهة: يتكاثر حول الفواكه الفاسدة وعصائرها.
الذباب الرملي أو الترابي: يفضل العيش في الشقوق الرطبة والزوايا المعتمة.
الذباب العنقودي: يظهر غالبًا في فصل الشتاء مخبأ داخل جدران المنازل.
كل نوع من هذه الأنواع يتطلب طرق للتخلص من الذباب فى المنزل تكون مصممة خصيصًا لتناسب مكان اختبائه وسرعة تكاثره.
أقرأ أيضاً : طريقة القضاء على ذبابة الفاكهة .
الأماكن الخفية التي يتكاثر فيها الذباب داخل البيت
- قد تعتقد أن التخلص من الذباب يعني فقط تنظيف السطح الظاهر، لكن الحقيقة أن الذباب يتكاثر غالبًا في أماكن غير متوقعة. لذلك من أجل اعتماد طرق للتخلص من الذباب فى المنزل تكون فعالة، يجب أولًا تحديد هذه المواقع:
- خلف الثلاجات والمواقد حيث تتراكم الدهون.
- تحت أحواض الغسيل بسبب الرطوبة والمواد العضوية.
- في شباك النوافذ القديمة المتهالكة.
- داخل مواسير الصرف الصحي والبالوعات المهملة.
- تحت السجاد أو المفارش في حال وجود بلل مزمن.
- داخل صناديق القمامة غير المغلقة بإحكام.
- حول مخلفات الحيوانات الأليفة غير المُزالة بشكل فوري.
- على الأقمشة المبللة أو الستائر التي تحتفظ بالرطوبة.
- في الشقوق والزوايا التي لا تصلها المكنسة الكهربائية.
من خلال فحص هذه المناطق بعناية، يسهل الوصول إلى طرق للتخلص من الذباب فى المنزل تكون دقيقة وفعالة.
يمكنك القضاء على الذباب فى المنزل عن طريق مبيد كلين فلاى ، أطلبه الأن .
طرق الوقاية اليومية لتقليل انتشار الذباب

- قبل الوصول إلى أي طرق للتخلص من الذباب فى المنزل، يجب البدء من الأساس بالوقاية ، فالوقاية دائمًا خير من العلاج، وهذا ينطبق على كل شيء، بما في ذلك الحشرات المنزلية ، إليك طرق الوقاية اليومية لتقليل انتشار الذباب في أي بيت:
- تغطية الأطعمة جيدًا وعدم تركها مكشوفة في المطبخ أو على الطاولة.
- غسل الصحون مباشرةً بعد الاستخدام، وعدم تركها في الحوض طوال الليل.
- تفريغ سلة المهملات يوميًا وتنظيفها بمطهر مضاد للبكتيريا.
- تنظيف الأرضيات يوميًا بالماء والصابون وخصوصًا الزوايا التي قد تتجمع فيها السوائل.
- التخلص من بقايا الطعام الرطبة مثل قشور الفواكه أو بقايا اللحوم بسرعة.
- تنظيف صناديق القمامة الداخلية بالخل أو المطهرات أسبوعيًا على الأقل.
- إغلاق المصارف جيدًا ليلًا أو عند عدم الاستخدام، ووضع القليل من الكلور فيها.
- وضع شباك أو سلك حاجز على النوافذ لمنع دخول الذباب من الخارج.
- استخدام الستائر الهوائية في مداخل المنازل إذا كانت الأبواب تُفتح باستمرار.
- تغطية طعام الحيوانات الأليفة والتخلص من بقاياه فورًا بعد الأكل.
بتطبيق هذه التدابير الوقائية، تكون قد أنجزت خطوة مهمة نحو تحقيق نجاح فعّال في مكافحة الذباب داخل المنزل.
أقرأ أيضاً : دليل شامل عن مبيدات الوزغ .
وصفات منزلية مجربة لطرد الذباب نهائيًا

الاعتماد على وصفات منزلية مجربة لطرد الذباب نهائيًا يوفر حلولًا غير مكلفة وآمنة للصحة، ولا تؤثر سلبًا على جودة الهواء داخل المنزل. إليك بعض الوصفات الفعالة:
الخل والسائل المنظف: امزجي نصف كوب من خل التفاح مع ملعقة صغيرة من سائل الجلي، واسكبي المزيج في كوب صغير واتركيه مكشوفًا. الذباب ينجذب للرائحة ويغرق في الخليط.
الليمون والقرنفل: قسمي الليمونة إلى نصفين وغرّسي أعواد القرنفل فيها. ضعيها في أماكن تواجد الذباب، وستشعرين بالاختلاف خلال ساعات قليلة.
النعناع المجفف: ضعي أوراق النعناع المجففة داخل أكياس قماشية صغيرة، ووزعيها في زوايا المنزل، حيث تعتبر رائحة النعناع من الروائح التي يكرهها الذباب بشدة.
ورق الغار: اطحني ورق الغار وانثريه على النوافذ والأبواب، فهو فعال لطرد الحشرات الطائرة.
خلطة زيت شجرة الشاي: امزجي بضع قطرات مع الماء ورشيها باستخدام بخاخ، فهي تعمل كمبيد طبيعي غير سام.
زيت الليمون: يمكن خلطه بالماء ورشه في المطبخ، خاصة عند حواف النوافذ والأحواض.
وفرنا لكم فى متجرنا خليك أخضر خدمة مكافحة الحشرات المنزلية بسعر 199 ريال ، أطلب الخدمة الأن وتخلص من الذباب والصراصير فى منزلك لتنعم بالأمان والهدوء والراحة .
الأعشاب والزيوت العطرية التي يكرهها الذباب

من أهم الأساليب الطبيعية التي يجب اعتمادها هي استخدام الأعشاب والزيوت العطرية التي يكرهها الذباب. هذه المواد تستخدم كطاردات طبيعية بفضل رائحتها القوية والتي تعمل كمشتت لحواس الذبابة.
إليك بعض الأعشاب والزيوت العطرية التي يكرهها الذباب:
زيت النعناع: يُعتبر من الزيوت الطاردة بامتياز. استخدمه برشه مع الماء أو في موزعات الروائح.
زيت اللافندر: يخلق بيئة عطرية لطيفة للإنسان، لكن الذباب يبتعد عنها فورًا.
الريحان: يمكن زراعته في أصص داخلية أو تجفيف أوراقه واستخدامها كبخور لطرد الذباب.
زيت شجرة الكينا: يمتاز بقوة طرد عالية للحشرات، ويمكن استخدامه في أجهزة التبخير.
الكافور: له تأثير مزدوج كمعقم ومطهر، وهو أيضًا مزعج جدًا للذباب.
عشبة إكليل الجبل (الروزماري): يمكن استخدامها مباشرة أو استخلاص زيتها العطري.
أفضل النباتات الطاردة للذباب في حديقة المنزل

إضافة النباتات الطاردة للحشرات إلى حديقة المنزل أو حتى في شرفات الشقق السكنية لا يُضفي فقط جمالًا على المكان، بل يشكل درعًا طبيعيًا ضد الذباب.
فيما يلي أفضل النباتات الطاردة للذباب في حديقة المنزل:
السترونيلا (عشبة الليمون): تتميز برائحة الليمون القوية، وتُعد من أشهر النباتات الطاردة للذباب والبعوض.
النعناع: نبات سريع النمو، طارد فعال، ويُستخدم أيضًا في وصفات الطهي.
الريحان: يضفي رائحة عطرية محببة، ويمنع الذباب من الاقتراب.
اللافندر: منظره الجمالي ورائحته العطرة يجعلان منه خيارًا مثاليًا للحدائق.
البردقوش: من الأعشاب العطرية الفعالة في إبعاد الذباب والحشرات.
وجود هذه النباتات ضمن حديقة المنزل يعزز من التخلص من الذباب بطريقة بيئية وأنيقة.
وفرنا لكم مجموعة ممتازة من المرشات بأحجام مختلفة ، أحصل عليها الأن .
روائح طبيعية لا يتحملها الذباب

- من الأمور المفيدة في مكافحة الذباب أنه يتجنب الروائح الطبيعية القوية، ويمكن استغلال هذه الخاصية لطرده بطرق آمنة وفعالة دون اللجوء إلى المبيدات الكيميائية الضارة. إليك مجموعة من الروائح الطبيعية التي يكرهها الذباب، والتي يمكن استخدامها كبخاخات أو توضع في أماكن تواجده:
- الريحان الطازج: يتميز برائحة نفاذة تشكل حاجزًا طبيعيًا ضد الذباب، ويمكن زراعته قرب النوافذ أو وضع أوراقه في أكواب ماء داخل المطبخ.
النعناع: يعد من الروائح الأكثر فاعلية لطرد الذباب، ويمكن استخدام زيت النعناع العطري في البخاخات لمكافحة الذباب.
اللافندر (الخزامى): إلى جانب دوره كمهدئ للأعصاب، يعتبر طاردًا طبيعيًا ممتازًا للذباب.
الليمون والقرنفل: يمكن قطع الليمون إلى نصفين وتثبيت أعواد القرنفل فيها، ثم وضعها في الأماكن التي يتجمع فيها الذباب.
الخل الأبيض: تتميز رائحته بالحدة التي تسبب نفور الذباب، ويُفضل وضعه في أطباق مكشوفة داخل المنزل.
زيت الأوكالبتوس: زيت عطري قوي الطرد للحشرات الطائرة.
الكافور: بودرة طبيعية يمكن تبخيرها لطرد الذباب من الغرف.
زيت شجرة الشاي: فعّال للغاية عند مزجه بالماء ورشه على النوافذ والمداخل.
استخدام روائح طبيعية لا يتحملها الذباب هو جزء أساسي من أي طرق للتخلص من الذباب فى المنزل دون الاعتماد على الكيميائيات.
وفرنا لكم باقة المبيدات المنزلية للتخلص من الذباب والصراصير والبق بسعر 199 ريال والتوصيل مجاناً .
طريقة صنع فخ منزلي للذباب باستخدام أدوات بسيطة

من أكثر الطرق الفعالة للتعامل مع الذباب هي صناعة فخ منزلي بسيط، لا يحتاج إلى تكلفة، ويُستخدم كأداة صيد ذكية للحشرات الطائرة و إليك خطوات مفصلة لصناعة فخ منزلي للذباب باستخدام أدوات بسيطة:
الطريقة الأولى: فخ الزجاجة البلاستيكية
- أحضر زجاجة بلاستيكية فارغة.
- قم بقطع الجزء العلوي (الثلث العلوي) من الزجاجة.
- اقلب الجزء المقطوع وضعه مقلوبًا داخل النصف السفلي كقُمع.
- صب في قاع الزجاجة خليطًا من:
- ملعقتين كبيرتين من السكر.
- نصف كوب ماء.
- ملعقة من خل التفاح.
- قطعة صغيرة من الفاكهة المتخمرة (مثل التفاح).
- ضع الفخ في الزاوية التي يكثر فيها الذباب.
- ستنجذب الذبابات للرائحة لكنها لن تتمكن من الخروج.
الطريقة الثانية: الفخ الورقي اللاصق
- قص شريطًا من الورق المقوى أو ورق الكرافت.
- اخلط مزيجًا من العسل والماء الساخن، وادهن الورقة به.
- علقها باستخدام خيط في أماكن تواجد الذباب.
- سيجذب العسل الذباب وسيلتصق على الورق اللاصق.
الطريقة الثالثة: مصيدة الخميرة
- امزج ملعقة خميرة مع ماء دافئ وسكر.
- ضعه في وعاء مكشوف قرب النوافذ.
- تخمر الخميرة يطلق ثاني أكسيد الكربون، الذي يجذب الذباب.
تُعد هذه الفخاخ جزءًا جوهريًا من كل طرق للتخلص من الذباب فى المنزل بشكل مستدام وفعال.
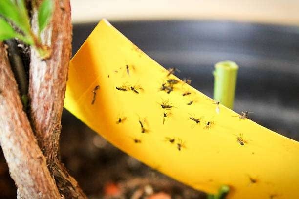
وفرنا لكم مصيدة حشرات طائرة بسعر 11.50 ريال للتخلص من الذباب والبعوض فى المنزل ، أطلبها الأن وتخلص من إزعاج وتلوث الذباب فى المنزل .
الطرق الكيميائية الحديثة للتخلص من الذباب

رغم فاعلية الطرق الطبيعية، هناك من يلجأ للحلول الكيميائية السريعة عند تفاقم المشكلة. ومن بين الطرق الشائعة:
- الرشاشات الكيميائية الجاهزة مثل "بايفنثرين" و"بيرميثرين".
- ألواح الغراء الصناعية التي تحتوي على مواد جاذبة.
- مصائد كهربائية تعمل بالأشعة فوق البنفسجية.
- بخاخات ضبابية (Foggers) للاستخدام في الأماكن الكبيرة أو المهجورة.
مع ذلك، يجب استخدام هذه الحلول بحذر خاصة في المنازل التي تحتوي على أطفال أو حيوانات.
الخلاصة حول طرق للتخلص من الذباب فى المنزل
في الختام، إن طرق للتخلص من الذباب فى المنزل تعتمد على مزيج من النظافة، واستخدام روائح طبيعية لا يتحملها الذباب، واتباع طرق الوقاية اليومية لتقليل انتشار الذباب، مع إمكانية تنفيذ طريقة صنع فخ منزلي للذباب باستخدام أدوات بسيطة. الاستمرار على هذه الأساليب يضمن بيئة صحية خالية من الحشرات، ويجعل طرق للتخلص من الذباب فى المنزل أكثر فاعلية واستدامة.
يمكنك التواصل معنا عبر الواتساب لأى استفسار يخص طرق التخلص من الذباب فى المنزل .
الأسئلة الأكثر شيوعًا حول طرق للتخلص من الذباب فى المنزل
1- ما هي أسرع طرق للتخلص من الذباب في المنزل؟
أسرع وسيلة للتخلص من الذباب تتمثل في استخدام فخاخ الخل مع صابون الأطباق أو المضرب الكهربائي، مع إحكام إغلاق النوافذ وتركيب شبك حماية لمنع دخول الحشرات.
2- ما هي الرائحة التي يهرب منها الذباب؟
تُعد الروائح الطبيعية القوية مثل اللافندر، النعناع، الريحان، والخل الأبيض من أكثر الوسائل فاعلية في إبعاد الذباب، حيث تؤثر على حاسة الشم لديه وتربكه في التوجيه، مما يدفعه لمغادرة المكان. يمكن الاستفادة منها بنثرها في أركان المنزل أو بزراعتها بالقرب من النوافذ، كما يُمكن استخدام زيوتها العطرية كحل آمن وفعال لطرد الذباب دون الحاجة إلى مبيدات.
3- كيفية التخلص من الذباب والناموس في المنزل؟
للتخلص من الذباب والناموس في المنزل، يجب أولًا القضاء على أماكن التكاثر مثل المياه الراكدة وبقايا الطعام. ثم تُستخدم فخاخ الخل والليمون أو أجهزة طرد الحشرات بالموجات فوق الصوتية. إغلاق النوافذ جيدًا واستخدام الشباك السلكي يمنع دخول الحشرات من الخارج. الروائح الطبيعية مثل النعناع تساعد في الطرد أيضًا.